అల్లకల్లోలంగా ఫొని.. సహాయక చర్యలు ముమ్మరం..
ఫొని ప్రభావంతో ఇప్పటికే ఒడిశా, శ్రీకాకుళం, విశాఖ, పశ్చిమ బెంగాల్ వ్యాప్తంగా భారీగా వర్షాలు కురుస్తున్నాయి. తీర ప్రాంత ప్రజలు భయంతో వణికిపోతున్నారు. ఇప్పటికే 11 లక్షల మందిని 3 వేల పునరావాస కేంద్రాలకు తరలించారు. అక్కడే వంట చేసుకునేందుకు ఏర్పాట్లు కూడా చేశారు అధికారులు. లోతట్టు ప్రాంతాల వారికి ఆహారం అందించేందుకు హెలికాఫ్టర్లను సైతం సిద్ధం చేశారు. 70 మంది ఐఏఎస్లు, ఐపీఎస్ల ఆధ్వర్యంలో సహాయక చర్యలు కొనసాగుతున్నాయి. స్కూళ్లకు సెలవులు కూడా ప్రకటించింది ప్రభుత్వం. […]

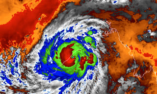
ఫొని ప్రభావంతో ఇప్పటికే ఒడిశా, శ్రీకాకుళం, విశాఖ, పశ్చిమ బెంగాల్ వ్యాప్తంగా భారీగా వర్షాలు కురుస్తున్నాయి. తీర ప్రాంత ప్రజలు భయంతో వణికిపోతున్నారు. ఇప్పటికే 11 లక్షల మందిని 3 వేల పునరావాస కేంద్రాలకు తరలించారు. అక్కడే వంట చేసుకునేందుకు ఏర్పాట్లు కూడా చేశారు అధికారులు. లోతట్టు ప్రాంతాల వారికి ఆహారం అందించేందుకు హెలికాఫ్టర్లను సైతం సిద్ధం చేశారు. 70 మంది ఐఏఎస్లు, ఐపీఎస్ల ఆధ్వర్యంలో సహాయక చర్యలు కొనసాగుతున్నాయి. స్కూళ్లకు సెలవులు కూడా ప్రకటించింది ప్రభుత్వం. రంగంలోకి దిగిన ఎన్డీఆర్ఎఫ్ బృందాలు.




